Περιβάλλον
-
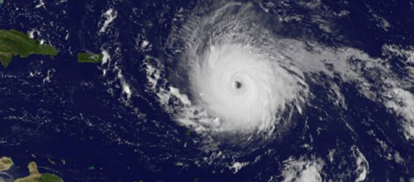
Σάκης Αρναούτογλου: «O Μεσογειακός κυκλώνας επηρέασε τη θερμοκρασία της θάλασσας στις περισσότερες περιοχές του Αιγαίου»
Στο πέρασμα του Μεσογειακού κυκλώνα και τις επιπτώσεις του ακόμη και στη θερμοκρασία της θάλασσας αναφέρθηκε ο μετεωρολόγος Σάκης Αρναούτογλου στην προσωπική του σελίδα στο facebook.Όπως ανέφερε, αναρ...
Read More » -
Σεισμός 3,6 Ρίχτερ κοντά στην Κυπαρισσία
Σεισμός 3,6 βαθμών της κλίμακας Ρίχτερ σημειώθηκε βορειοανατολικά της Κυπαρισσίας τα ξημερώματα του Σαββάτου.Η σεισμική δόνηση, σύμφωνα με το Γεωδυναμικό Ινστιτούτο του Εθνικού Αστεροσκοπείου Αθηνών σ...
Read More » -
Αίθριος ο καιρός σήμερα αλλά με δυνατό αέρα - Αναλυτική πρόγνωση από την ΕΜΥ
Γενικά αίθριος θα είναι ο καιρός σήμερα Σάββατο στις περισσότερες περιοχές της χώρας.Οι άνεμοι θα πνέουν βόρειοι στο Αιγαίο έως 7 μποφόρ.Αναλυτική πρόγνωση από την ΕΜΥ:ΑττικήΚαιρός: γενικά αίθριος.Άνε...
Read More » -
Αγέλη αγριεμένων λέαινων κατακρεουργούν τον «βασιλιά της ζούγκλας» (βίντεο, φωτό)
Σοκαριστική εξέλιξη είχε η βόλτα μερικών τουριστών σε πάρκο άγριας ζωής στην Μεγάλη Βρετανία, όταν βρέθηκαν πρόσωπο με πρόσωπο με την άγρια κατάσταση που επικρατεί μεταξύ των μεγαλύτερων θηρευτών της ...
Read More » -
ΗΠΑ: Μεθυσμένα πουλιά σπέρνουν τον τρόμο στη Μινεσότα
Ένα απίστευτο φαινόμενο λαμβάνει χώρα στην πολιτεία Μινεσότα των ΗΠΑ.Πρόβλημα με τα πουλιά έχουν στην περιοχή Γκίλμπερτ της Μινεσότας, καθώς κυκλοφορούν... μεθυσμένα.Κι όμως η παράξενη είδηση είναι πέ...
Read More » -
Καιρός: Αναλυτική πρόγνωση για το Σάββατο – Πού θα βρέχει
Διαβάστε πώς θα είναι ο καιρός το Σάββατο (06.10.2018), σύμφωνα με την Εθνική Μετεωρολογική Υπηρεσία.Άστατος θα είναι ο καιρός στα δυτικά με τοπικές βροχές από το απόγευμα. Βόρειοι άνεμοι στο Αιγαίο έ...
Read More » -
Ποιός Μέσι; Την αγελάδα που παίζει μπάλα την είδατε; (βίντεο)
Η Λότε ζει σε μία φάρμα στη Σουηδία και σύμφωνα με το ρεπορτάζ, πάσχει από στρες. Το γιατί μία υγιής αγελάδα που ζει σε μία καταπράσινη σουηδική φάρμα μπορεί να έχει άγχος, δεν εξηγείται στο ρεπορτάζ....
Read More » -
Αλλάζει άρδην το σκηνικό του καιρού – Σε ποιες περιοχές αναμένονται καταιγίδες
Βροχές και καταιγίδες αναμένονται την Παρασκευή, στο Ιόνιο, την Ηπειρο, τη δυτική Στερεά και την Πελοπόννησο μέχρι το απόγευμα. Οι άνεμοι θα πνέουν έως 7 μποφόρ σε Ιόνιο και Αιγαίο, ενώ αναμένεται και...
Read More » -
Ήθελαν να σώσουν μία λεοπάρδαλη αλλά αυτή... τους επιτέθηκε (βίντεο)
H διάσωση μίας λεοπάρδαλης πήγε εντελώς λάθος, όταν το άγριο ζώο που ήταν τραυματισμένο επιτέθηκε στους ανθρώπους που έτρεξαν να τη διασώσουν. Μία λεοπάρδαλη ήταν ξαπλωμένη στις όχθες ενός ποταμού σε ...
Read More » -
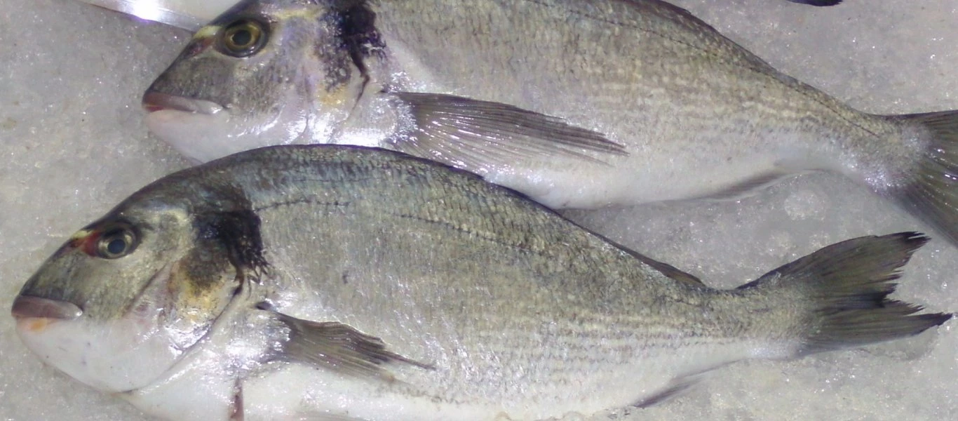
«Πλημμύρισε» τσιπούρες η βόρεια Εύβοια μετά τον Ζορμπά: Μικροί, μεγάλοι με καλάμια στα χέρια (φωτό)
Γέμισε τσιπούρες η θάλασσα στην Ανατολική Φθιώτιδα και τη Βόρεια Εύβοια μετά το πέρασμα του κυκλώνα Ζορμπά.Σύμφωνα με το lamiareport.gr μικροί και μεγάλοι ξεχύθηκαν τις προηγούμενες μέρες στις παραλίε...
Read More »